Casa Baniei, Craiova
Cod LMI: DJ-II-m-A-08066
Categoria: A – monument de interes național
Natura: Monument de arhitectură
Datare: sf. sec. XVII – înc. sec. XVIII
Adresa: Str. Matei Basarab 16
Localitate: municipiul Craiova
Județ: Dolj
Casa Băniei este un monument de arhitectură de interes național și cea mai veche construcție civilă din Craiova, fiind reconstruită de Constantin Brâncoveanu în 1699 pe locul fostelor case ale boierilor Craiovești din secolul al XV-lea. Casa Băniei se află situată în zona centrală a orașului, în imediata apropiere a Catedralei Mitropolitane Sf. Dumitru și în apropierea Monumentului Frații Buzești, în partea nordică a Parcului Sf. Dumitru (Grădina Băniei, Grădina Trandafirilor sau Parcul Frații Buzești).

Construcția clădirii
După cele mai multe opinii istorice, casele bănești ar fi fost ctitoria marelui ban Barbu Craiovescu, fiul cel mai mare al lui Neagoe de la Craiova, întemeietorul familiei Craioveștilor. Casele, construite în centrul Craiovei, lângă Biserica Sf. Dumitru (fosta Biserica Băneasa sau Biserica Domnească), pe locul altor clădiri boierești mai vechi, au servit drept reședință a banilor și loc de adunare a Divanului Craiovei.
Descendent al aceleiași familii (a opta generație de la Neagoe) a fost și domnitorul Constantin Brâncoveanu, care a reconstruit Casele Băniei în 1699 cu birul strâns din județele Olteniei. Refăcută într-o formă foarte apropiată de cea în care poate fi admirată și astăzi, casa ar fi fost lucrată de meșterii arhitecți ai domnitorului, într-un stil popular cu coloane, asemănător celui ce poate fi observat la palatele domnești de la Potlogi și Mogoșoaia sau la Mânăstirea Hurezi.
Clădirea în secolul XVIII
În urma Tratatului de la Passarowitz (Požarevac, în Serbia) din 1718 care a încheiat războiul dintre Imperiul Otoman pe de-o parte și Imperiul Habsburgic și Republica Venețiană de cealaltă parte, Oltenia a intrat sub ocupația austriacă până în 1739. Din această perioadă s-au păstrat mai multe documente în care se menționează casele bănești din Craiova, atunci sediul Chesariceștii Administrațiuni. Astfel, aflăm că la 1 septembrie 1726 consilierii Radu Golescu, Ilie Știrbei și Staico Bengescu din Chesariceasca Administrație au judecat pricina dintre Banul Gheorghe Cantacuzino, fiul fostului domn al Țării Românești Șerban Cantacuzino, și românii din satul Dobrița, județul Gorj, pe care „i-au adus la judecată înaintea noastră, în divan, aicea la Casele Bănești…”
Într-un raport din 1731 al inginerului Colonel I. C. Weiss, care fusese însărcinat de Consiliul de război austriac să studieze locurile care trebuiau fortificate în Oltenia, sunt menționate casele bănești („das Bannat Haus„), care se aflau pe o înălțime, lângă o biserică. Într-un alt raport, Weiss le recomanda superiorilor săi să fortifice locul respectiv, deoarece era înalt, nu foarte întins, înconjurat pe trei părți de văi, domina valea Jiului (în acele vremuri, Jiul curgea prin apropiere) și avea și o magazie de provizii, fiind potrivit pentru adăpostirea Administrației locale și a boierilor, în caz de năvălire a turcilor. Ulterior, Weiss raportează că întinderea limitată a locului nu ar fi putut permite retragerea în interior decât a Administrației Chesaricești și a câtorva trupe de miliții, dar își menține părerea că locul ar trebui fortificat, mai ales că întărirea s-ar realiza în timp, cu resurse și mână de lucru locală și cu costuri mici (3250 florini austro-ungari). În urma inspecției făcute în Oltenia în luna august a aceluiași an, Generalul Franz Wallis (Franz Anton Paul Graf Wallis von Karighmain), director suprem al Olteniei, și consilierul Baron von Rebentisch de la Cancelaria aulică înaintează un raport prin care sfătuiesc împotriva fortificării zonei.
În 1737, austriecii au intrat în războiul ruso-turc, dar au fost învinși în câteva rânduri. Ca urmare a acestor înfrângeri, s-au retras din Oltenia, iar Craiova a fost ocupată de turci. Casele bănești au devenit sediul cartierului general al lui Murtaza Pașa, comandant al armatei otomane în timpul războiului. După plecarea acestora în 1739, casele Băniei au rămas în paragină, „ne mai căutând de dânsele nimeni ca să le dreagă, s-au fost dărăpănat și s-au fost stricat foarte rău, încât nu mai era cu putință a locui cineva întrânsele”.
În 1750, Episcopul Râmnicului, Grigorie Socoteanul, îi cere domnitorului Țării Românești, Grigore al II-lea Ghica, să dea Episcopiei casele bănești “ca să dreagă acele case, să fie episcopești, fiind acolea aproape biserica de piatră, unde să cinstește și să prăznuește hramul sfântului, marelui mucenic Dimitrie, pentru că neavând Episcopia case în Craiova, are mare zăticnire, când îi iaste mergerea la Craiova, neavând stănostire episcopească.” La 3 mai 1750, Grigorie Ghica Voievod emite un hrisov în care arată că „am dat aceaste case Sfintei Episcopii a Râmnicului, ca Sfinția Sa părintele Episcopul kir Grigorie să dreagă casele acealea după cum să cade, coprinzănd întru o curte și acea biserică de piatră a Sfântului Dimitrie, care să se numească de acum înainte Episcopie în Craiova.” Imediat, Episcoopul Grigorie, „cu multă cheltuială sărguindu-să, s-au apucat și ca dintru temelie le-au înnoit, dregăndu-le și căpundu-le foarte bine, încugiurând și sfânta bisearică tot întru o curte cu casile”. Dania este întărită de Constantin Racoviță Voievod la 8 noiembrie 1753.
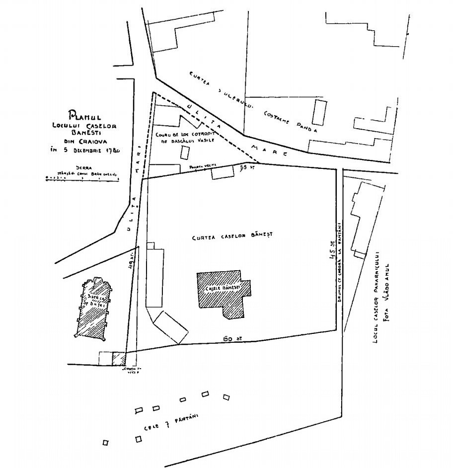
Mai târziu, la 1774, când biv vel clucerul Constantin Argetoianu a reparat biserica Sf. Dumitru, a vrut să o despartă de Casele Bănești printr-un zid, dar a murit înainte să îl termine. Odată cu trecerea timpului și cu distrugerile din timpul războiului ruso-turc din 1768-1774, zidul curții este distrus, iar casele bănești suferă stricăciuni. Reparația clădirii și împrejmuirea gardului sunt efectuate abia în 1780, de Episcopul Filaret, care „au voit a ști locul acelor case, de unde și până unde au fost atât lungul, cât și latul, una ca să nu să fi împresurat de către vecinii locului, al doilea ca să știe și prea Sfinția Sa câtă gătire să facă de a să drege acele case și să facă curte de zid de jur împrejur”. Cu hotărnicirea locului sunt însărcinați boierii Ioan Glogoveanu Stolnic și Ioniță Brăiloiul Sluger, care determină poziția caselor bănești și suprafața ocupată. Acestea se aflau pe dealul de deasupra celor șapte fântâni, la sud de biserica Sf. Dumitru, ocupând un teren în forma unui patrulater cu laturile neegale și cele de la vest și est curbate. Terenul avea laturile de 60 stânjeni spre SV, 45 stânjeni spre S, 55 stânjeni spre E și 49 stânjeni spre N, cu o suprafață totală de 2725 stânjeni pătrați, și se învecina la N cu locul bisericii Sf. Dumitru și Ulița cea Mare (str. Sf. Dumitru de azi), la E cu Ulița cea mare (str. Matei Basarab de azi), care se întâlnea cu Ulița mare de la nord (str. Sf. Dumitru de azi) în fața vechii porți a Caselor Bănești, la S cu un drum de picior, ce cobora la fântâni pe lângă zidul din dos al proprietății (azi Blv. Știrbei Vodă), și la V cu muchea dealului, la poalele căruia se aflau fântânile. La E, peste Ulița cea mare, se afla curtea Slugerului Costache Pandia, ulterior proprietatea lui N. N. Popp (azi Căminul preoțesc Renașterea), iar la S, peste drumul ce cobora la fântâni, era locul caselor răposatului Paharnic Fota Vlădoianul (foste Hagi-Preda).
Clădirea în secolul XIX
La începutul celei de-a doua decade a secolului al XIX-lea (anii 1810-1811), episcopul Nectarie al Râmnicului înstrăinează casele bănești, dându-le Elisei Otetelișanu, văduva boierului Șerban Otetelișanu din neamul Obedeanu, în schimbul a 300 stânjeni de moșie. În 1811, noul proprietar a efectuat reparații și i-a adăugat casei pridvorul din spate.
Din proprietatea familiei Otetelișanu, Casa Băniei a trecut în cea a unui particular, Petrache Bucureșteanu, care a donat-o statului prin testament.
La finalul secolului al XIX-lea, în timpul construcției Palatului de Justiție, Casa Băniei a servit ca sediu provizoriu al tribunalului Craiovei.
Clădirea în secolul XX
La începutul secolului al XX-lea, Casa Băniei a intrat în posesia Ministerului Instrucțiunii și a servit drept local al unor instituții școlare: până în 1914, sediul al gimnaziului „Frații Buzești”, iar între 1914 și 1924, local pentru Școala normală de învățătoare. După acea dată, clădirea, care era înconjurată de anexe, a găzduit Seminarul preoțesc până în 1931, apoi, pentru scurt timp, secția Craiova a Arhivelelor Statului, conduse de profesorul C. D. Fortunescu.
După intrarea în posesia Primăriei Craiova a terenului și a imobilelor bisericii și caselor bănești în scopul unor modificări edilitare, anexele Casei Băniei au fost demolate, iar clădirea principală a fost restaurată în 1933, după un proiect realizat de arhitectul Iancu Atanasescu.
În 1934, în urma solicitării lui Marin Demetrescu, directorul Muzeului Regional al Olteniei, de a oferi instituției muzeale un spațiu corespunzător pentru colecțiile sale (care nu mai puteau fi cuprinse în camerele de la subsolul Palatului Administrativ), primarul de atunci al Craiovei, Constantin Negrescu, împreună cu Comisia Interimară, hotărăște cedarea „în mod principial și numai spre folosință, de către Muzeul Regional al Olteniei Casele Bănești, proprietatea Municipiului.” Înainte de a primi noile bunuri culturale, Casa Băniei a fost restaurată, lucrările fiind executate după planurile arhitectului A. Vincenz cu fonduri de la Primărie și Cercul Științific Craiovean. Deschiderea noului local al Muzeului Regional al Olteniei (Muzeul de Antichități și Etnografie al Olteniei) în Casele Bănești a avut loc duminică, 28 septembrie 1934, odată cu inaugurarea Expoziției de arheologie și numismatică. Solemnitatea inaugurării a avut loc în „sala mare de sus” a Casei Băniei, în prezența diferitelor personalități (ministrul Instrucțiunii Publice, dr. Constantin Angelescu, directorul general al muzeelor militare, gen. Constandache, profesori, arheologi și numismați). Edificiul devenea astfel sediul Muzeului Olteniei până în 1948, când a trecut în folosința Mitropoliei Olteniei.
În 29 septembrie 1964, Muzeul Regional al Olteniei solicita Comitetului Executiv al Sfatului Popular Regional „retrocedarea Casei Băniei din Parcul Trandafirilor, clădirea și terenul în suprafață de 13.585 mp” pentru organizarea unui muzeu etnografic al Olteniei. Ca urmare a acestor solicitări, în baza decretului 459/1964 din 27 august al Comitetului de Stat, Casa Băniei a fost preluată de Comitetul Executiv al Sfatului Popular Regional de la Arhiepiscopia Craiovei și predată Muzeului Olteniei pentru organizarea Secției de Etnografie. În același an, direcția muzeului a solicitat suma de 320.000 lei pentru o restaurare a clădirii care a corectat modificările arhitecturale aduse de-a lungului timpului și i-a readus un aspect mai apropiat de cel original, brâncovenesc.
Expoziția permanentă a Secției de Etnografie a Muzeului Olteniei a fost executată de Întreprinderea de Stat Decorativa București și inaugurată la 23 august 1967.
După cutremurul din 1977, Casa Băniei a fost grav avariată, fiind închisă pentru un an și trei luni pentru lucrări de consolidare și restaurare. Secția de Etnografie a fost redeschisă publicului la 28 mai 1978.
Clădirea în secolul XXI
În perioada 2006-2010, la Casa Băniei s-au efectuat noi lucrări de consolidare și restaurare, precum și o reamenajare a expoziției de bază a secției muzeale. Secția a fost inaugurată în ianuarie 2011 și invită vizitatorii la o călătorie etnografică în care pot admira expozițiile “Facerea pâinii” (de la desțelenit la semănat și de la secerat la colacii rituali) și “Ritmurile vieții” (ceramică oltenească, cojocărit, tradiții de nuntă, obiecte religioase, icoane pe sticlă, țesături, covoare și scoarțe), precum și o expoziție de păpuși.

În prezent, clădirea, clădită pe bolți de cărămidă, are un regim de înălțime pe trei niveluri, cu o pivniță amplă în care se mai păstrează o parte a construcției inițiale a boierilor Craiovești, parter și etaj cu logie și terasă.

Surse informații și imagini:
Casele Bănești din Craiova în sec. XVIII-lea, Arhivele Olteniei , 06, nr. 29-30, ianuarie – aprilie 1927
Vechile case ale Basarabilor din Craiova, G. Mil Demetrescu în Ramuri, an XII (1919), no 13-14, p 193-196
Vladimir Roșulescu, “Craiova – Casa Băniei”
Casa Băniei – o „doamnă“ cu trecut. Gazeta de Sud, 17 ianuarie 2009
Maria Mitrică, Casa Băniei din Craiova, locul unde istoria se împletește cu tradițiile din Oltenia. Agerpres, 10 septembrie 2014
Andreea Mitrache, Casa Băniei este cea mai veche clădire din Craiova. A fost construită în forma actuală de Constantin Brâncoveanu în anul 1699. Adevărul, 5 decembrie 2013
Otilia Gherghe, „Centenar Muzeul Olteniei 1915-2015”. Editura Antheo, Craiova, 2015















